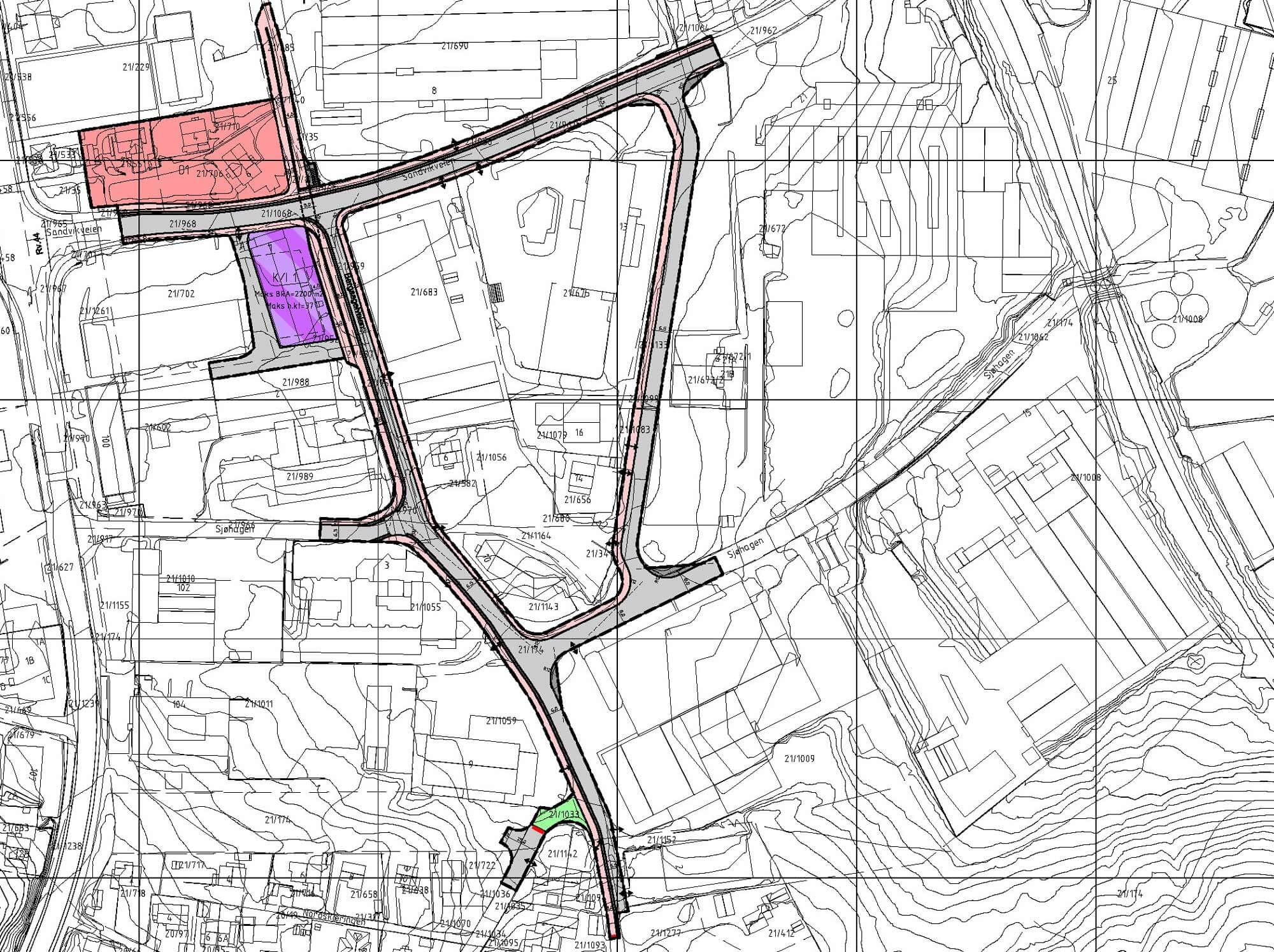
Regulert undergang i Bergsagelveien i krysset med Sandvikveien er et rekkefølgekrav for å få utviklet tilliggende områder.
Stavanger utvikling KF ønsker å ta et ansvar for å forhandle fram avtaler med alle grunneierne som har undergangen som et rekkefølgekrav, med tanke på få bygget undergangen.